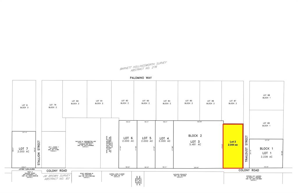
Lot 2 Colony RoadTolar, TX 76476




Welcome to Churchill Estates, a brand-new subdivision offering the perfect blend of peaceful country living and convenient access to nearby amenities. Located just 15 minutes from Granbury, this 2+ acre estate lot provides ample space to build your dream home, all while enjoying the serene sounds of the countryside without sacrificing proximity to shopping, dining, and entertainment. Nestled close to Lake Granbury and the charming Granbury Square, Churchill Estates offers the ideal retreat from city traffic with quick access to everything you need. This open, level lot boasts direct road frontage on Colony Road, with planned asphalt roads throughout the subdivision for easy access. Each homesite will require a private water well and septic system. Deed restrictions help protect your investment—available in the documents section or upon request from the listing agent. Photos depict the subdivision and are not lot-specific. Don’t miss your chance to be among the first to call Churchill Estates home!
| 10 months ago | Listing updated with changes from the MLS® | |
| 11 months ago | Listing first seen on site |
© 2020 North Texas Real Estate Information Systems. All rights reserved. Information is deemed reliable but is not guaranteed accurate by the MLS or NTREIS. The information being provided is for the consumer's personal, non-commercial use, and may not be reproduced, redistributed, or used for any purpose other than to identify prospective properties consumers may be interested in purchasing.
Last checked: 2026-05-14 06:37 PM CDT

Did you know? You can invite friends and family to your search. They can join your search, rate and discuss listings with you.